کشف اقیانوس باستانی در مریخ + عکس
[ad_1] به گزارش سایِنس اَلِرت (Science Alert)، دانشمندان شواهدی از وجود یک اقیانوس وسیع در سطح سیاره سرخ با قدمت حدود ۳.۵ میلیارد سال پیش پیدا کردهاند که احتمالاً صدها هزار کیلومترمربع را دربرمیگیرد. این شواهد به شکل توپوگرافی خط ساحلی متمایز است که از طریق تصاویر ماهوارهای متعدد از سطح مریخ شناسایی شده است.

[ad_1]
به گزارش سایِنس اَلِرت (Science Alert)، دانشمندان شواهدی از وجود یک اقیانوس وسیع در سطح سیاره سرخ با قدمت حدود ۳.۵ میلیارد سال پیش پیدا کردهاند که احتمالاً صدها هزار کیلومترمربع را دربرمیگیرد. این شواهد به شکل توپوگرافی خط ساحلی متمایز است که از طریق تصاویر ماهوارهای متعدد از سطح مریخ شناسایی شده است. هنگامی که این تصاویر از زوایای کمی متفاوت گرفته میشوند، میتوان یک نقشه برجسته ساخت.
به گزارش هوشمند نیوز به نقل از ایرنا، محققان توانستهاند بیش از ۶۵۰۰ کیلومتر از پشتههای رودخانهای را ترسیم کنند که ظاهراً توسط رودخانهها تراشیده شدهاند و نشان میدهد که به احتمال زیاد دلتاهای رودخانهای فرسایشیافته یا کمربندهای کانال زیردریایی (کانالهای حکشده در کف دریا) هستند.
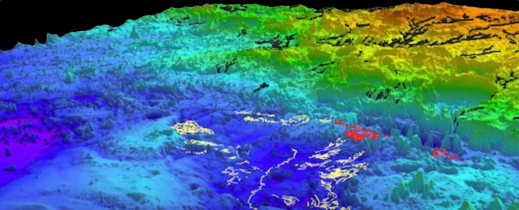
نقشههای توپوگرافی شواهد جدیدی از یک اقیانوس باستانی در مریخ ارائه میدهد
بنجامین کاردناس (Benjamin Cardenas)، زمینشناس از دانشگاه ایالتی پنسیلوانیا، میگوید: کار جدید و بزرگی که ما در این مقاله انجام دادیم این بود که مریخ را از نظر چینهشناسی و سابقه رسوبی بررسی کنیم.
بر روی زمین، تاریخچه آبراهها را با نگاهکردن به رسوباتی که در طول زمان تهنشین میشوند، ترسیم میکنیم و آن را چینهشناسی مینامیم. آب رسوب را حمل میکند و میتوانیم تغییرات روی زمین را با درک نحوه انباشتهشدن رسوبات اندازهگیری کنیم؛ این کاری است که درخصوص زمین انجام میدهیم، اما بحث مریخ مطرح است.
پژوهشگران این تیم با استفاده از دادههای مدارگرد شناسایی مریخ که در سال ۲۰۰۷ جمعآوری شده بود، تجزیهوتحلیلی از ضخامت، زوایا و مکانهای پشته را برای درک منطقه مورد مطالعه بهکار بردند؛ گودال توپوگرافی به نام منطقه Aeolis Dorsa در مریخ.

کف دهانه برخوردی گِیل، در نزدیکی منطقهای به نام Aeolis Dorsa، که محققان معتقدند زمانی اقیانوسی وسیع بوده است.
کاردناس توضیح میدهد که شواهد مبنیبر افزایش چشمگیر سطح دریا و حرکت سریع سنگها توسط رودخانهها و جریانها نشان میدهد که در همه آن سالهای گذشته، تغییرات شایان توجهی در این قسمت از سیاره اتفاق افتاده است؛ امروزه Aeolis Dorsa حاوی متمرکزترین مجموعه از پشتههای رودخانهای در مریخ است.
همه اینها به جستوجوی حیات در مریخ مربوط میشود. یکی از اساسیترین سؤالات دانشمندان در رابطه با سیاره سرخ این است که آیا این سیاره تا به حال شرایطی داشته است که به اندازه کافی مساعد باشد و از حیات پشتیبانی کند؟
کاردناس میگوید: آنچه بلافاصله به عنوان یکی از نکات مهم در اینجا به ذهن خطور میکند، این است که وجود اقیانوسی با این اندازه به معنای پتانسیل بالاتری برای زندگی است. این مسئله همچنین درباره آبوهوای باستانی و تکامل آن به ما اطلاعات میدهد. بر اساس این یافتهها، نتیجه میگیریم که دورهای وجود داشته است که هوا به اندازه کافی گرم و اتمسفر به اندازه کافی ضخیم بوده است که بتواند این مقدار آب مایع را در یک زمان تحمل کند.
محققان در منطقه Aeolis Dorsa متوقف نمیشوند. برخی از همان محققان از جمله کاردناس در پژوهشی جداگانه، از یک تکنیک تصویربرداری صوتی استفاده کردند که برای نقشهبرداری از بسترهای باستانی دریا در خلیج مکزیک برای مدلی از فرسایش آب سطح مریخ استفاده میشود.
در سراسر مریخ، نواحی عظیمی از پشتههای رودخانهای وجود دارد و شبیهسازیهای انجامشده توسط تیم بهطور شایان توجهی شبیه به شکل چشمانداز روی سیاره سرخ است که نشان میدهد زمانی پوشش گستردهای از آب در این سیاره وجود داشته است.
دانشمندان نشانههای بیشتری میبینند که حاکی از این است که زمانی آب در مریخ فراوان بوده و تلاش برای کشف اینکه ممکن است به چه چیزی منجر شده باشد و اکنون آن آب در کجا است ادامه دارد؛ اگرچه نگاهکردن به میلیاردها سال پیش کار آسانی نیست.
[ad_2]
لینک منبع : هوشمند نیوز
آموزش مجازی مدیریت عالی حرفه ای کسب و کار Post DBA+ مدرک معتبر قابل ترجمه رسمی با مهر دادگستری و وزارت امور خارجه | آموزش مجازی مدیریت عالی و حرفه ای کسب و کار DBA+ مدرک معتبر قابل ترجمه رسمی با مهر دادگستری و وزارت امور خارجه | آموزش مجازی مدیریت کسب و کار MBA+ مدرک معتبر قابل ترجمه رسمی با مهر دادگستری و وزارت امور خارجه |
![]() مدیریت حرفه ای کافی شاپ | ![]() حقوقدان خبره | ![]() سرآشپز حرفه ای |
آموزش مجازی تعمیرات موبایل | ![]() آموزش مجازی ICDL مهارت های رایانه کار درجه یک و دو | آموزش مجازی کارشناس معاملات املاک_ مشاور املاک |
برچسب ها :اخبار عمومی ، اقیانوس ، مریخ
- نظرات ارسال شده توسط شما، پس از تایید توسط مدیران سایت منتشر خواهد شد.
- نظراتی که حاوی تهمت یا افترا باشد منتشر نخواهد شد.
- نظراتی که به غیر از زبان فارسی یا غیر مرتبط با خبر باشد منتشر نخواهد شد.


آموزش مجازی مدیریت عالی و حرفه ای کسب و کار DBA








ارسال نظر شما
مجموع نظرات : 0 در انتظار بررسی : 0 انتشار یافته : 0